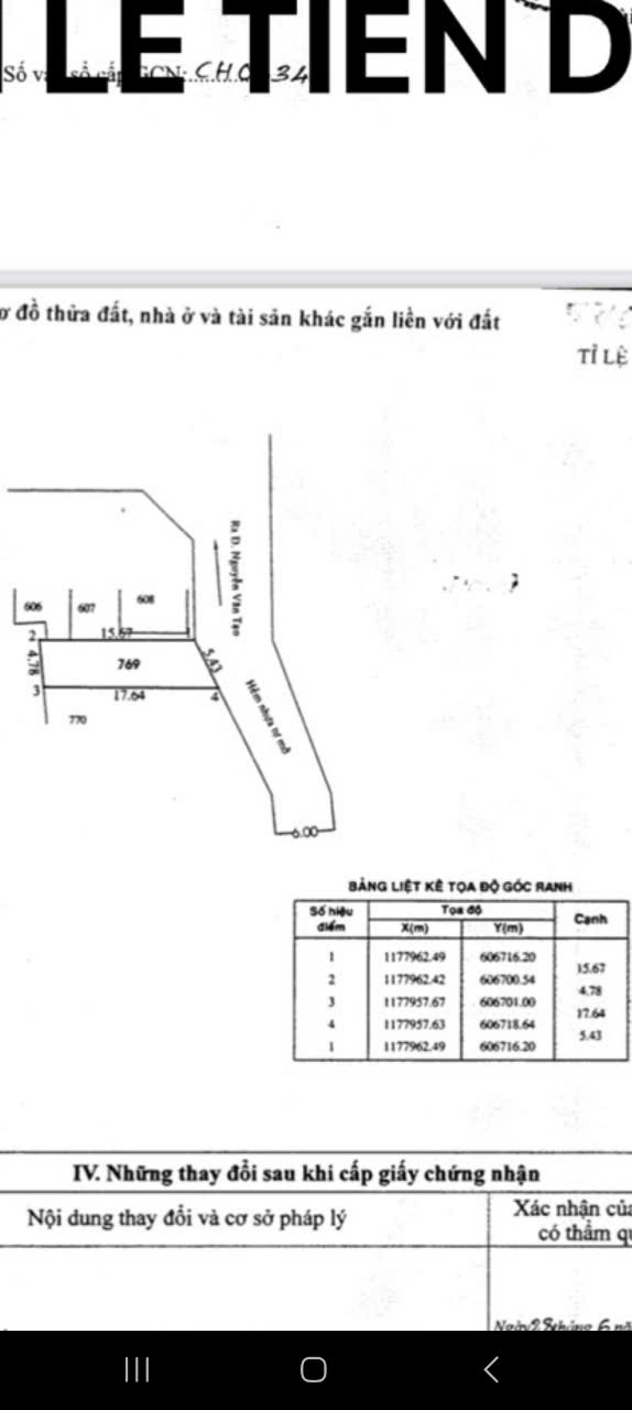
- Bán đất: 5x17m, giá: 3,,9tỷ,
- Khu 274/13 Nguyễn Văn Tạo, xã Long Thới, Nhà Bè
-Vị trí cao ráo, không ngập nước , gần đường dẫn lên cao tốc.
xem video cảnh quan đất click vào link: https://youtube.com/shorts/7rTOYhzDEFI?si=MHnqG0JQmPkD4sCs

- Bán đất: 5x17m, giá: 3,,9tỷ,
- Khu 274/13 Nguyễn Văn Tạo, xã Long Thới, Nhà Bè
-Vị trí cao ráo, không ngập nước , gần đường dẫn lên cao tốc.
xem video cảnh quan đất click vào link: https://youtube.com/shorts/7rTOYhzDEFI?si=MHnqG0JQmPkD4sCs