https://youtube.com/shorts/lIGut96Zesw?si=dPfFVErpDZI2zeTRĐất đường số 3, khu SAIGON VILLAGE, long hậu
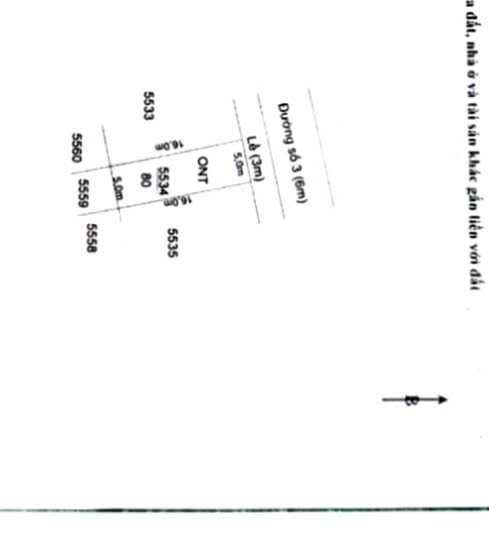
- Giá: 2.2ty
- DT: 5x16m
- Khu dân cư cao cấp, nhà đồng bộ, cạnh phố đi bộ, công viên lớn, cây xanh rất nhiều, khí hậu trong lành.
- XEM VIDEO REVIEW VÀO LINK:
